529 Whitehall Street SWAtlanta, GA 30303
Due to the health concerns created by Coronavirus we are offering personal 1-1 online video walkthough tours where possible.




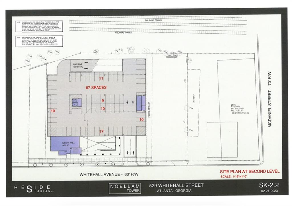
Approved 10-Story Mixed-Use Development Opportunity in the Heart of Atlanta Rare opportunity to acquire a fully designed and approved development site in one of Atlanta’s fastest-growing urban corridors. Located on Whitehall Avenue near McDaniel Street, the property is positioned minutes from Mercedes-Benz Stadium, State Farm Arena, Centennial Yards, Georgia State University, and downtown Atlanta employment centers. The site has been designed and approved for Noellam Tower, a 10-story mixed-use residential development featuring 151 residential units, ground-floor retail, structured parking, and amenity space. Development Highlights: • Land Area: Approximately 0.97 acres • Approved Building: 10-story residential tower • Total Units: 151 residential units • Total Building Size: Approximately 156,200 SF Unit Mix • 2 Bedroom Units: 8 • 1 Bedroom Units: 111 • Studio / Efficiency Units: 32 Commercial & Amenities: • Ground Floor Retail: Approximately 2,000 SF • Amenity Area: Approximately 1,800 SF Parking: • 131 structured parking spaces • Parking located within the podium and deck levels Concept Design Features: • Modern mid-rise residential tower with balconies • Structured parking integrated into the building • Street-level retail activating Whitehall Avenue • Interior courtyard and amenity space • Easy vehicular access via McDaniel Street Location Advantages: • Minutes from Mercedes-Benz Stadium • Near Centennial Yards redevelopment • Close to Georgia State University • Easy access to I-75 / I-85 connector • Walkable urban infill location Ideal For: • Multifamily developers • Mixed-use developers • Opportunity zone / urban infill investors • Institutional multifamily groups By-Right Zoning Summary Zoning: I-MIX (Industrial Mixed-Use) – City of Atlanta The I-MIX zoning district is intended to encourage the redevelopment of former industrial areas into higher-density mixed-use urban environments. The designation allows for a wide range of residential, commercial, and mixed-use development options. Permitted Uses (By-Right) Under I-MIX zoning, the following uses are typically permitted: • Multifamily residential developments • Mixed-use residential with ground floor retail • Apartments and condominium buildings • Retail shops and neighborhood services • Restaurants and cafes • Office space • Live-work units • Structured parking decks • Hotel and hospitality uses • Creative office / studio space Development Opportunity This zoning supports high-density urban residential and mixed-use development, This property offers a rare chance to develop a high-density multifamily project in a rapidly transforming area of downtown Atlanta with strong long-term growth fundamentals.
| 2 months ago | Status changed to Active | |
| 2 months ago | Listing updated with changes from the MLS® | |
| 2 months ago | Listing first seen on site |
Listings identified with the FMLS IDX logo come from FMLS and are held by brokerage firms other than the owner of this website and the listing brokerage is identified in any listing details. Information is deemed reliable but is not guaranteed. If you believe any FMLS listing contains material that infringes your copyrighted work, please click here to review our DMCA policy and learn how to submit a takedown request.
© 2017-2026 First Multiple Listing Service, Inc.


Did you know? You can invite friends and family to your search. They can join your search, rate and discuss listings with you.